Architectural Drawings

Carrying out large-scale construction work along a hillside was a challenging endeavour given the technological limitations at the time. The estate’s layout and design reflected careful consideration behind. We invited young city planners and architects to record Ming Wah via drawings.

Kenneth Chan
Urban Designer

Dawn Wong
Architect

Sectional Drawing

Ming Wah Dai Ha comprises 13 blocks, 11 of which are slab-style buildings. The above image shows a cross-section of one such block, depicting scenes from the everyday lives of former residents. These illustrations draw inspiration from stories shared by residents through the Ming Wah Dai Ha Documentary Project. Featured scenes include neighbours sparring over ping-pong and children playing in the common corridor.

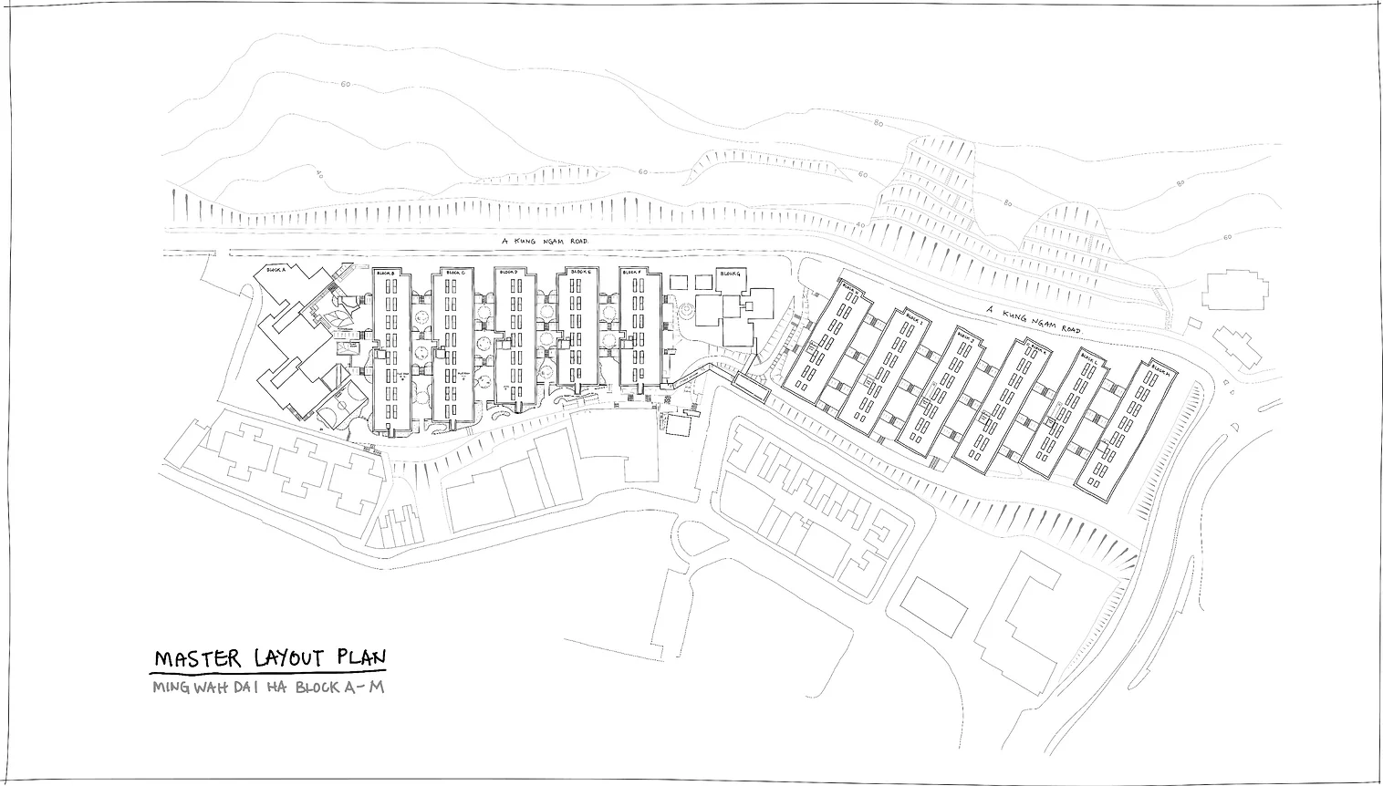
Master Layout Plan

The site deposition of Ming Wah Dai Ha comprised 13 blocks, oriented east towards A Kung Ngam Road while facing Shau Kei Wan Market to its west. As the estate was constructed on steep terrain, steps were built as passages to connect blocks and as open space to facilitate daily interactions of residents. Eleven of the 13 buildings had central corridors between two rows of apartment units on each floor, which was a simple and ordinary design to maximise utilisation of space. Block G, situated in the corner of the project site, had a cross plan instead. Block A was rebuilt in the 1970s to meet the needs of different families (see Architectural History). Its balcony adopted a terraced design  which was different from other buildings. The estate plan and building design made good use of the site area and the typology of the hill which showed the government’s determination to address the pressing need of housing.

Short Elevation

Based on the short elevation facing west, it is believed that the buildings were intentionally designed to avoid exposing residential units to direct sunlight. Central corridors built with ventilating materials such as railings, bricks and stones feature walls in each block allowing natural light and air to penetrate. As the corridors were not enclosed, with adequate sunshine and were well ventilated, the common area at either end of the corridor became a place for hanging laundry and also for social interactions (see Daniel Ma’s story). This indeed the intention of the architect to use the undecorated materials to provide a better living environment.

Typical Floor Plan

Central corridors could be found in eleven out of a total of 13 blocks in Ming Wah Dai Ha, which were a significant design feature of the estate. Two rows of residential units were built along the corridor, with the units facing south equipped with balconies, which probably reflected a design consideration for sunlight. As the corridor was well-ventilated which made it a good breezeway, a laundry room was provided at the end of the corridor on each floor for those residents whose units did not have a balcony. Each unit came with a private bathroom and kitchen, with windows facing the corridor connected to the air-wells for better ventilation. Apart from the staircase situated at either end of the corridor, one more staircase was installed in the middle to fulfill the requirements of the fire safety ordinance. Each block was accessible through three entrances, allowing residents to go up and down the hill more easily.

細説​明華

Ming Wah Dai Ha
Documentary Project

​CopyrightDisclaimer | Contact us
OrganiserHong Kong Housing Society
CollaboratorDragon Foundation、Lion Head Culture、Hide and Seek Tour
Copyright © 2025 Hong Kong Housing Society. All Rights Reserved.

細説​明華

Ming Wah Dai Ha
Documentary Project

​CopyrightDisclaimer | Contact us
OrganiserHong Kong Housing Society
CollaboratorDragon Foundation、Lion Head Culture、Hide and Seek Tour
Copyright © 2025 Hong Kong Housing Society. All Rights Reserved.